- Fotos Colprensa - Tras el fallo de La Haya mucha riqueza marina pierde Colombia.
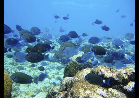
- Fotos Colprensa - Las aguas cedidas a Nicaragua son ricas en fauna y flora.
- Fotos Colprensa - La zona del océano es una reserva para los nativos.
- Fotos Colprensa - Colombia estudia las medidas para evitar la pérdida de los mares de la Patria.
histórico
Lo que se perdería por el fallo de La Haya